Sectorul 1: Dovada că RADEF dorește înlocuirea cinematografelor cu zgârie nori

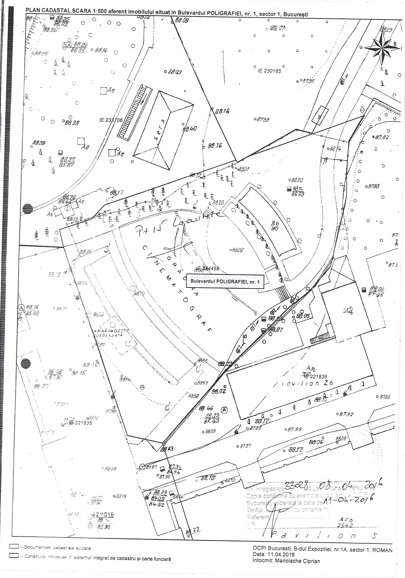
Primăria Sectorului 1 vă prezintă dovada că Regia Autonomă a Distribuţiei şi Exploatării Filmelor (RADEF) și-a propus distrugerea sistematică a sălilor de spectacole pe care le administrează și înlocuirea lor cu blocuri de locuințe sau clădiri de birouri. Regăsiți atașat cererea depusă în data de 14 aprilie 2016 la Primăria Sectorului 1 de către RADEF, prin care solicită emiterea unui certificat de urbanism pentru o construcție P+15 pe locul fostei Grădini Cinematograf de pe Bulevardul Poligrafiei nr. 1.
Această inițiativă demonstrează politica "prietenoasă" a RADEF față de patrimoniul cultural pe care îl administrează, care nu are nimic în comun cu interesul public și cu nevoile comunității din Sectorul 1.
Primăria Sectorului 1 a făcut un apel către Ministrul Culturii, doamna Corina Ioana Șuteu, să oprească politica RADEF de distrugere a cinematografelor din această zonă administrativă.
În plus, pentru salvarea cinematografelor, reabilitarea, consolidarea și redarea lor circuitului cultural, Primăria Sectorului 1 a solicitat din nou Ministerului Culturii predarea cinematografelor, inclusiv documentele și bunurile mobile ale acestora, în administrarea Consiliului Local. Menționăm că, o solicitare similară a fost adresată și fostului ministru al Culturii, domnul Vlad Alexandrescu, în data de 2 februarie 2016, însă demersul administrației locale a Sectorului 1 a rămas fără rezultate.
"Solicitarea RADEF de emitere a unui certificat de urbanism pentru construirea unui zgârie nori pe locul fostei Grădini Cinematograf a fost pentru noi încă o dovadă că sălile de spectacol din Sectorul 1, administrate de această instituție, sunt în pericol. De aceea, am solicitat Ministrului Culturii să stopeze politica RADEF de distrugere a patrimoniului cultural pe care îl administrează. În plus, am reiterat solicitarea către actualul ministru al Culturii să accepte trecerea cinematografelor în administrarea Consiliului Local Sector 1, pentru corecta lor administrare. Bucureștenii au nevoie de săli de spectacole modernizate și consolidate, unde să se desfășoare un act cultural de calitate, și nu de proiecte imobiliare controversate care nu au nimic în comun cu interesul public", a declarat Secretarul Sectorului 1, Alexandru Moldoveanu.
Cinematografele după reabilitare: spații culturale de excelență
Administrația locală a început, încă din anul 2009, demersurile pentru trecerea cinematografelor în administrarea Consiliului Local Sector 1, conform Legii Cinematografiei.
În situația în care cinematografele vor fi transferate în administrarea comunității locale, Consiliul Local al Sectorului 1 va proceda la efectuarea unor sondaje de opinie a proprietarilor/ coproprietarilor acestor clădiri în vederea exprimării consimțământului lor cu privire la reabilitarea și consolidarea acestor imobile. Investiția se va realiza din bugetul local în cadrul unor proiecte investiționale de anvergură.
Reintroducerea cinematografelor în circuitul cultural va crea o infrastructură capabilă să susțină, în mod esențial, proiecția de film cinematografic dar și alte spectacole cinematografice, precum și orice formă de activitate culturală: festivaluri de film, concerte muzicale, expoziții de artă, spectacole de varietăţi sau alte manifestări culturale în cadrul unor programe/proiecte culturale derulate de către Consiliul Local al Sectorului 1 în parteneriat cu Ministerul Culturii, în baza unui Protocol de Colaborare.
Litigiul dintre RADEF și Consiliul Local pe rolul Înaltei Curți
În conformitate cu prevederile Legii nr. 303/2008, prin care s-a modificat Ordonanța Guvernului nr. 39/2005 privind cinematografia, RADEF trebuia să predea Consiliului Local Sector 1 toate cinematografele din această zonă administrativă până la data de 3 iulie 2009.
Prin adresa nr. M/532/23.02.2009, Primăria Sectorului 1 a solicitat predarea sălilor, iar RADEF a răspuns prin adresa nr. 2039/02.03.2009 că le va preda în luna iunie 2009. În 12 octombrie 2009 s-a revenit cu o solicitare, însă RADEF nu a mai răspuns.
Prin urmare, în 2009 Consiliul Local Sector 1 a chemat în judecată RADEF. A câștigat în primă instanță procesul, dar prin Ordonanța de Urgență a Guvernului nr. 47/2011, Executivul a abrogat prevederile legale privind transferul cinematografelor către consiliile locale. Ca urmare, recursul RADEF a fost admis și cererea Consiliului Local Sector 1 a fost respinsă de Înalta Curte de Casație și Justiție.
În anul 2013, prin decizia 19, Curtea Constituțională a declarat neconstituțională Ordonanța dată de Guvern în 2011. În consecință, Consiliul Local Sector 1 a chemat din nou în judecată RADEF care a fost obligată de Curtea de Apel București în dosarul nr. 8128/2/2013 să predea cinematografele și grădinile cinematografice. RADEF a formulat recurs, care se judecă în prezent la Înalta Curte de Casație și Justiție.
Serviciul Imagine, Relații cu Mass-Media și Informatică
Tel. fix: 021/222.36.24
E-mail: presa.primaria1@gmail.com
Lasă un răspuns